Bitte warten...

Vertragsfreies Grundstück mit ruinösem ehemaligen Stall-/Scheunegebäude **etwa 34 km von Usedom entfernt**

  • Verkaufsobjekt - Vertragsfreies Grundstück mit ruinösem ehemaligen Stall-/Scheunegebäude **etwa 34 km von Usedom entfernt**
    Verkaufsobjekt
  • Verkaufsobjekt mit anschließender Nachbarbebauung - Vertragsfreies Grundstück mit ruinösem ehemaligen Stall-/Scheunegebäude **etwa 34 km von Usedom entfernt**
    Verkaufsobjekt mit anschließender Nachbarbebauung
  • Verkaufsobjekt - Vertragsfreies Grundstück mit ruinösem ehemaligen Stall-/Scheunegebäude **etwa 34 km von Usedom entfernt**
    Verkaufsobjekt
  • Innenansicht - Vertragsfreies Grundstück mit ruinösem ehemaligen Stall-/Scheunegebäude **etwa 34 km von Usedom entfernt**
    Innenansicht
  • Innenansicht - Vertragsfreies Grundstück mit ruinösem ehemaligen Stall-/Scheunegebäude **etwa 34 km von Usedom entfernt**
    Innenansicht
  • Ablagerungen auf der Verkaufsfläche - Vertragsfreies Grundstück mit ruinösem ehemaligen Stall-/Scheunegebäude **etwa 34 km von Usedom entfernt**
    Ablagerungen auf der Verkaufsfläche
  • Vertragslos genutzter Grundstücksbereich und Nachbarfläche - Vertragsfreies Grundstück mit ruinösem ehemaligen Stall-/Scheunegebäude **etwa 34 km von Usedom entfernt**
    Vertragslos genutzter Grundstücksbereich und Nachbarfläche
  • versperrte Zuwegung zum Verkaufsobjekt - Vertragsfreies Grundstück mit ruinösem ehemaligen Stall-/Scheunegebäude **etwa 34 km von Usedom entfernt**
    versperrte Zuwegung zum Verkaufsobjekt
  • Lageskizze - Vertragsfreies Grundstück mit ruinösem ehemaligen Stall-/Scheunegebäude **etwa 34 km von Usedom entfernt**
    Lageskizze
  • Lageskizze - Vertragsfreies Grundstück mit ruinösem ehemaligen Stall-/Scheunegebäude **etwa 34 km von Usedom entfernt**
    Lageskizze
  • Lageskizze mit Luftbildunterlegung - Vertragsfreies Grundstück mit ruinösem ehemaligen Stall-/Scheunegebäude **etwa 34 km von Usedom entfernt**
    Lageskizze mit Luftbildunterlegung

Auktions-ID 444-0006

Die Auktion ist für dieses Objekt beendet.
Beendet
3.600 EUR *
SP 3.600 EUR
Höchstgebot

Um auf dieses Objekt bieten zu können, müssen Sie zuerst einen Bietantrag stellen.

Objekt-Daten

  • Händler-Standort
    Deutsche Internet Immobilien Auktionen
  • Titel Vertragsfreies Grundstück mit ruinösem ehemaligen Stall-/Scheunegebäude **etwa 34 km von Usedom entfernt**
  • Immobilienart Sonstige
  • Adresse
    Dargibell Hausnummer 41
    17398 Neu Kosenow OT Dargibell
  • Bundesland Mecklenburg-Vorpommern
  • Land Deutschland
  • Grundstücksgröße 2.280 m², lt. Grundbuchangabe.
  • Baujahr Etwa 1890 lt. Angabe des Voreigentümers.
  • Grundbuch
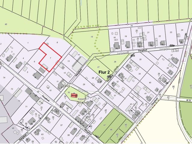
    Amtsgericht Pasewalk von Neu Kosenow, Blatt 338, Flur 2, Flurstück 7
  • Belastungen im Grundbuch
    Abt. II, lfd. Nr. 4: Beschränkte persönliche Dienstbarkeit (Trinkwasserleitungsrecht) für für Zweckverband Wasserversorgung und Abwasserbehandlung Anklam, Anklam.

    Abt. III: Keine Eintragungen.

    Der Ersteher übernimmt die im Grundbuch in Abt. II, lfd. Nr. 4 eingetragene beschränkt persönliche Dienstbarkeit als nicht wertmindernd auf den Kaufpreis.
  • Nutzungsart Leerstehend
  • Aussage Bauamt
    Das Amt Anklam-Land teilt dem Auktionshaus im Schreiben vom 27.01.2025 unter anderem Folgendes mit: Seitens der Behörde bestehen lt. Aktenlage keine Auflagen und/oder Mängel für das Objekt. Der Verkaufsgegenstand liegt als Teilstück (Haus) liegt im Innenbereich § 34 BauGB und der restliche Grundstücksteil im Außenbereich gemäß § 35 BauGB.
    Ein Flächennutzungsplan besteht nicht. Es sind keine Beschlüsse gefasst wonach Erschließungskosten im Sinne des BauGB und/oder Ausbaubeiträge nach dem Kommunalabgabengesetz im Jahr 2025/2026 anfallen werden.
  • Makrolage
    Neu Kosenow ist eine Gemeinde in der Nähe von Anklam. Die Gemeinde wird vom Amt Anklam-Land mit Sitz in der Gemeinde Spantekow verwaltet.

    Neu Kosenow liegt an der B 109. Anklam liegt etwa 8 km nordwestlich und Ueckermünde ca. 24 km östlich der Gemeinde. Die Bahnlinie Berlin-Stralsund durchquert das Gemeindegebiet.

    Der Ortsteil Dargibell gehört zu Neu Kosenow.
  • Mikrolage
    Der Verkaufsgegenstand liegt am nördlichen Ortsrand. Die Umgebung besteht aus Wohnbebauung und Landwirtschaftsflächen.
  • Sanierungsgebiet
    Nein
  • Denkmalschutz
    Keine Angabe
  • Erschließung
    Der Verkaufsgegenstand ist nicht erschlossen.
  • Sonstiges
    Bitte beachten Sie, dass eine Aktualisierung / Veränderung der Objektbeschreibung (Detail-Informationen zum Kaufobjekt) bis zum Tag der Zuschlagserteilung möglich ist.

    Die Anlage 1 zum notariellen Grundstückskaufvertrag finden Sie unter dem Icon „Drucken“.

    Bei Kaufpreisen bis 6.000,00 EUR ist der Kaufpreis auf das Treuhandkonto des Auktionators Thomas Engel zu hinterlegen.
  • Internetadresse Gemeinde
    https://amt-anklam-land.de/
  • Behörde Amt Anklam-Land, Rebelower Damm 2, 17392 Spantekow, Tel.: 039 727/ 25 00
  • Besichtigungsverm. Außendienst kein
  • Besichtigung für Kunden
    Bitte nehmen Sie für einen Besichtigungstermin Kontakt mit uns auf. Das Auktionshaus weist darauf hin, dass jedes Begehen und Befahren des Objektes auf eigene Gefahr erfolgt und nur mit Zustimmung des Eigentümers erlaubt ist. Die Mitteilung von Angaben durch das Auktionshaus beinhaltet weder eine Zustimmung zum Betreten und Befahren des Objektes noch eine Aussage, dass das Betreten und Befahren des Objektes sicher möglich sind. Die Verkehrssicherungspflicht für das Objekt liegt beim Eigentümer. Das Auktionshaus haftet nicht für etwaige Schäden, die entstehen, wenn Sie das Objekt betreten oder befahren.
  • Vertragsbestandteile
    Die genauen Grundstücksgrenzen sind nur durch eine Grenzfeststellung bestimmbar. Eine Kostenbeteiligung des Veräußerers ist ausgeschlossen.

    Der Verkauf erfolgt - so wie das Objekt steht und liegt - unter Vereinbarung des umfassenden Haftungsausschlusses gemäß Ziffer 7 der Versteigerungsbedingungen sowie ohne Räumungsverpflichtung des Veräußerers.
  • Zusammenfassung
    Zum Aufruf kommt das vertragsfreie Flurstück 7 der Flur 2 mit einer Grundstücksgröße von 2.280 m², lt. Grundbuchangabe.

    Der Verkaufsgegenstand ist an der südlichen Grundstücksgrenze mit einem leerstehenden Stall/Scheune bebaut. Das Scheunengebäude verfügt über ein verfallenes Einfahrtstor an der Giebelseite des Gebäudes. Das Gebäude, welches Teil eines Stall-/Scheunenkomplexes ist, der sich auf dem benachbarten Flurstück 6 fortsetzt und nicht zum Verkaufsgegenstand gehört, befindet sich in einem ruinösen Bauzustand.

    Unter anderem sind umfangreiche Baumängel (Mauerwerks- und Feuchtigkeitsschäden) vorhanden. Das Dach und die hofseitige Fassade sind teilweise eingestürzt. Fenster und Türen sind überwiegend offen bzw. zerstört. Im Gebäude sind zahlreiche Deckendurchbrüche zu verzeichnen.

    Laut ungeprüfter Angabe des Voreigentümers betrug die ehemalige Nutzfläche etwa 208 m².

    Auf der Freifläche liegen Altholz, Natursteine und Bauschutt. Möglicherweise von einem ehemaligen Stallanbau. Diese Fläche weist Strauch und Baumbewuchs auf und wird von einem angrenzenden Landwirtschaftsbetrieb zum Abstellen von Gerätschaften vertragslos genutzt. Dem Veräußerer liegt keine vertragliche Vereinbarung über eine Nutzung vor. Eine Klärung obliegt dem Ersteher. Das Vorhandensein von unterirdischen Gebäudeteilen, Kabeln, Rohren und Schächten kann, aufgrund der v. g. Situation daher nicht ausgeschlossen werden. Eine diesbezügliche Haftung des Veräußerers wird ausgeschlossen.

    Ein Gebäude der Nachbarflurstücke 9 und 12 überbaut geringfügig die Verkaufsfläche.

    Die lt. Kartenmaterial öffentliche Zuwegung von der Straße ´Dargibell´ ist in Realität nicht mehr existent, sondern unter anderem durch Strauchwerk, Wildwuchs und Ablagerungen versperrt.

    Ferner grenzt gemäß Kartenmaterial im nordwestlichen Grundstücksbereich eine Wasserfläche an.

    Diese Angaben dienen der beispielhaften Wiedergabe des Zustandes. Es besteht kein Anspruch auf Vollständigkeit der Aufzählung.
  • Kontakt
    kontakt@dga-ag.de
* zzgl. Auktions-Aufgeld auf den Zuschlagspreis
  • Tags:
3.748 Besucher