Bitte warten...

Zwei Landwirtschaftsflächen im nördlichen Berliner Speckgürtel

  • Blick auf Flurstück 128 und Umgebung - Zwei Landwirtschaftsflächen im nördlichen Berliner Speckgürtel
    Blick auf Flurstück 128 und Umgebung
  • Blick auf Flurstück 128 und Umgebung - Zwei Landwirtschaftsflächen im nördlichen Berliner Speckgürtel
    Blick auf Flurstück 128 und Umgebung
  • Blick auf Flurstück 128 und Umgebung - Zwei Landwirtschaftsflächen im nördlichen Berliner Speckgürtel
    Blick auf Flurstück 128 und Umgebung
  • Blick auf Flurstück 128 mit dem vertragslos genutzten Anteil als Parkplatzfläche - Zwei Landwirtschaftsflächen im nördlichen Berliner Speckgürtel
    Blick auf Flurstück 128 mit dem vertragslos genutzten Anteil als Parkplatzfläche
  • Blick auf Flurstück 128 mit partiellen Müllablagerungen und Umgebung - Zwei Landwirtschaftsflächen im nördlichen Berliner Speckgürtel
    Blick auf Flurstück 128 mit partiellen Müllablagerungen und Umgebung
  • Blick auf Flurstück 120 und Umgebung - Zwei Landwirtschaftsflächen im nördlichen Berliner Speckgürtel
    Blick auf Flurstück 120 und Umgebung
  • Blick auf Flurstück 120 und Umgebung - Zwei Landwirtschaftsflächen im nördlichen Berliner Speckgürtel
    Blick auf Flurstück 120 und Umgebung
  • Lageskizze - Zwei Landwirtschaftsflächen im nördlichen Berliner Speckgürtel
    Lageskizze
  • Lageskizze - Zwei Landwirtschaftsflächen im nördlichen Berliner Speckgürtel
    Lageskizze
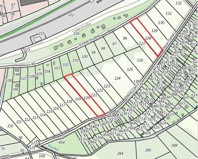
  • Umgebungsskizze - Zwei Landwirtschaftsflächen im nördlichen Berliner Speckgürtel
    Umgebungsskizze

Auktions-ID 446-0001

Die Auktion ist für dieses Objekt beendet.
Beendet
21.500 EUR *
SP 4.500 EUR
Höchstgebot

Um auf dieses Objekt bieten zu können, müssen Sie zuerst einen Bietantrag stellen.

Objekt-Daten

  • Händler-Standort
    Deutsche Internet Immobilien Auktionen
  • Titel Zwei Landwirtschaftsflächen im nördlichen Berliner Speckgürtel
  • Immobilienart Grundstück
  • Adresse
    Neue Gärten bzw. Schwarzer Weg
    16321 Bernau bei Berlin
  • Bundesland Brandenburg
  • Land Deutschland
  • Grundstücksgröße 4.247 m², lt. Grundbuchangaben.
  • Grundbuch
    Amtsgericht Bernau bei Berlin von Bernau, Blatt 13892, Flur 43 Flurstücke 120 und 128
  • Belastungen im Grundbuch
    Abt. II: Keine Eintragungen.

    Abt. III: Keine Eintragungen.
  • Aussage Bauamt
    Die Stadtverwaltung Bernau bei Berlin teilte im Schreiben vom 08.05.2024 Folgendes mit: Die Grundstücke liegen an keiner beitragspflichtigen Einrichtung an. Die Flurstücke sind als landwirtschaftliche Nutzfläche ausgewiesen und an den Wegen ´Schwarzer Weg´ bzw. ´Neue Gärten´ anliegend. Beide Wege sind nicht grundhaft ausgebaut und in der Vergangenheit wurden keine Beiträge erhoben, welche dem Anlieger gegenüber noch zur Abrechnung gebracht werden könnten. In absehbarer Zeit sind auch keine beitragspflichtigen Maßnahmen geplant. Beide Grundstücke sind vom Flächennutzungsplan erfasst. Ebenso liegen die Grundstücke im Landschaftsplanerischen Entwicklungskonzept der Stadt. Weder ein Bebauungsplan noch Gestaltungs- und Erhaltungssatzung oder Denkmalschutz bestehen.

    Der Landkreis Barnim teilte im Schreiben vom 4. März 2024 mit, dass die Grundstücke derzeit nicht im Altlastenkataster des Landkreises Barnim geführt werden und nach dem aktuellen Erkenntnisstand es sich somit nicht um eine Altlast bzw. Altlastverdachtsfläche handelt.
    Darüber hinaus befinden sich auch im Umfeld der Grundstücke keine Flächen, die im Altlastenkataster des Land­kreises Barnim registriert sind.

    Des Weiteren bescheinigte der Landkreis Barnim im Schreiben vom 13. März 2024, dass auf den Grundstücken im Zeitraum vom 1. August 1990 bis 30. Juni 1994 und ab dem 1. Juli 2016 (Hinweis: das Baulastenverzeichnis wurde nur in diesem Zeitraum ge­führt) keine Baulast eingetragen ist.
  • Makrolage
    Bernau bei Berlin ist eine Große kreisangehörige Stadt und Mittelzentrum im Landkreis Barnim des Landes Brandenburg. Sie liegt wenige Kilometer nordöstlich der Berliner Stadtgrenze.

    Das Stadtzentrum von Bernau liegt 5,9 km nordöstlich der Stadtgrenze von Berlin, die südwestliche Grenze von Bernau bei Eichwerder ist drei Kilometer vom Berliner Ortsteil Buch entfernt. Das bis Ende des 19. Jahrhunderts schiffbare Flüsschen Panke entspringt im Stadtgebiet von Bernau und mündet in Berlin in die Spree.

    Bernau liegt an der früheren B2, 2003 herabgestuft zur L200, zwischen Schwanebeck und Eberswalde sowie an der L30 zwischen Mühlenbeck und Altlandsberg und L31 zwischen Lanke und Blumberg.

    An Bernau vorbei führt die A11 vom Berliner Ring nach Stettin. Die nächstgelegenen Anschlussstellen sind Bernau-Nord und Bernau-Süd. Bernau ist durch die Linie S2 der Berliner S-Bahn im 20-Minuten-Takt mit der Hauptstadt verbunden.
  • Mikrolage
    Die beiden Flächen liegen südlich des Stadtzentrums von Bernau und südlich der Bahnlinie Berlin-Stralsund sowie der S-Bahn Trasse und des Bahnhofs und nördlich der Straße „Neue Gärten“.
  • Sanierungsgebiet
    Nein
  • Denkmalschutz
    Nein
  • Erschließung
    Im Weg „Schwarzer Weg“ verläuft eine Trinkwasser-Leitung.
    Lt. Wasser- und Abwasserverband Panke/Finow kein Anschluss an die zentrale Trinkwasserversorgungsanlage möglich. Zentraler Abwasseranschluss ist derzeit nicht realisierbar. Stromversorgungsleitungen der Stadtwerke Bernau GmbH sind im Weg „Neue Gärten“ vorhanden.
  • Sonstiges
    Bitte beachten Sie, dass eine Aktualisierung / Veränderung der Objektbeschreibung (Detail-Informationen zum Kaufobjekt) bis zum Tag der Zuschlagserteilung möglich ist.

    Die Anlage 1 zum notariellen Grundstückskaufvertrag finden Sie unter dem Icon „Drucken“.

    Bei Kaufpreisen bis 6.000,00 EUR ist der Kaufpreis auf das Treuhandkonto des Auktionators Thomas Engel zu hinterlegen.

    Google Maps Koordinaten
    Flurstück 128: 52.673715, 13.591619
  • Internetadresse Gemeinde
    www.bernau.de
  • Behörde Stadt Bernau bei Berlin, Bürgermeisterstraße 25, 16321 Bernau bei Berlin, Tel.: 03338/ 365 0
  • Besichtigung für Kunden
    Bitte nehmen Sie für einen Besichtigungstermin Kontakt mit uns auf. Das Auktionshaus weist darauf hin, dass jedes Begehen und Befahren des Objektes auf eigene Gefahr erfolgt und nur mit Zustimmung des Eigentümers erlaubt ist. Die Mitteilung von Angaben durch das Auktionshaus beinhaltet weder eine Zustimmung zum Betreten und Befahren des Objektes noch eine Aussage, dass das Betreten und Befahren des Objektes sicher möglich sind. Die Verkehrssicherungspflicht für das Objekt liegt beim Eigentümer. Das Auktionshaus haftet nicht für etwaige Schäden, die entstehen, wenn Sie das Objekt betreten oder befahren.
  • Vertragsbestandteile
    Die Grundstücksgrenzen sind nur durch eine Grenzfeststellung bestimmbar. Eine Kostenbeteiligung des Veräußerers ist ausgeschlossen.

    Die Veräußerung erfolgt ausweislich des Grundbuches frei von Lasten in Abteilung II und III. Hiervon unberührt bleibt die Übernahme weiterer, etwa vorhandener, aus dem Grundbuch nicht ersichtlicher Lasten und Beschränkungen, insbesondere öffentlich-rechtlicher Lasten einschließlich etwaiger Baulasten sowie nicht im Grundbuch einzutragender Rechte an dem Grundstück ohne Anrechnung auf den Kaufpreis.

    Der Veräußerer hat die in seinem Eigentum befindlichen Objekte nicht versichert. Der Ersteher wird darauf hingewiesen, dass er für ausreichenden Versicherungsschutz ab dem Tage der wirtschaftlichen Übergabe von Lasten und Nutzen zu sorgen hat. Bis zu diesem Zeitpunkt bleibt die Verantwortung für dieses Grundstück selbstverständlich beim Veräußerer bzw. der Bundesanstalt für Immobilienaufgaben.

    Der Veräußerer nimmt an einem Streitbeilegungsverfahren vor einer Verbraucherschlichtungsstelle nicht teil; etwaige Streitigkeiten zwischen Veräußerer und Verbraucher gem. § 13 BGB sollen unmittelbar geklärt werden.

    Der Verkauf erfolgt - so wie das Objekt steht und liegt - unter Vereinbarung des umfassenden Haftungsausschlusses gemäß Ziffer 7 der Versteigerungsbedingungen sowie ohne Räumungsverpflichtung des Veräußerers.
  • Zusammenfassung
    Zum Aufruf kommen zwei getrennt, aber in räumlicher Nähe liegende Flächen mit einer Grundstücksgröße von insgesamt 4.247 m². Bei dem Verkaufsgegenstand handelt es sich um die beiden im Grundbuch als Landwirtschaftsfläche verzeichneten Flurstücke 128 mit 2.027 m² und 120 mit 2.220 m², jeweils lt. Grundbuchangabe.

    Die Flurstücke stellen Landwirtschaftsfläche/Grünland dar, Flurstück 120 mit Gehölzen im nördlichen Bereich und Flurstück 128 mit einem kleinen Anteil von Baum- und Strauchbewuchs. Im südlichen Teil des Flurstück 128 wird eine kleine Teilfläche offensichtlich als Parkplatzfläche genutzt. Augenscheinlich sind beide Flurstücke auch in die Nutzung zusammen mit den angrenzenden Flächen mit einbezogen. Sämtliche Nutzungen erfolgen vertragslos. Eine Klärung obliegt dem Ersteher.

    Das Flurstück 120 liegt am befestigten, öffentlichen Weg „Neue Gärten“ und das Flurstück 128 liegt an den öffentlichen Wegen „Schwarzer Weg“ (Norden) und „Neue Gärten“ (Süden) an. Beide Straßen sind nicht grundhaft ausgebaut.

    Das Flurstück 128 wird im nördlichen Grenzbereich (Schwarzer Weg) von einem Streckenfernmeldekabel der Deutschen Bahn tangiert. Eine dingliche Sicherung des Kabels ist bislang nicht erfolgt. Es obliegt dem Ersteher selbständig eine Regelung mit der Deutschen Bahn zu treffen.

    Gemäß Angabe des Veräußerers befindet sich der Verkaufsgegenstand in keinem Schutzgebiet. Denkmalschutz bzw. Bodendenkmal sind dem Veräußerer nicht bekannt und es gibt keine konkreten Anhaltspunkte auf das Vorhandensein von Kampfmitteln, die Flurstücke sind auch nicht als pauschale Verdachtsfläche kartiert.

    Partiell sind Müllablagerungen im Randbereich zu verzeichnen.

    Eine Besichtigung des Verkaufsgegenstandes durch einen Mitarbeiter des Auktionshauses fand nicht statt.

    Diese Angaben dienen der beispielhaften Wiedergabe des Zustandes. Es besteht kein Anspruch auf Vollständigkeit der Aufzählung.
  • Kontakt
    kontakt@dga-ag.de
* zzgl. Auktions-Aufgeld auf den Zuschlagspreis
  • Tags:
3.808 Besucher