Bitte warten...

Zwei schmale, teilweise vertragslos genutzte Grundstücksstreifen in der Pringnitz

  • Blick auf die Umgebung Richtung Verkaufsflurstück 14/2 - Zwei schmale, teilweise vertragslos genutzte Grundstücksstreifen in der Pringnitz
    Blick auf die Umgebung Richtung Verkaufsflurstück 14/2
  • Blick auf die Umgebung Richtung Verkaufsflurstück 14/2 - Zwei schmale, teilweise vertragslos genutzte Grundstücksstreifen in der Pringnitz
    Blick auf die Umgebung Richtung Verkaufsflurstück 14/2
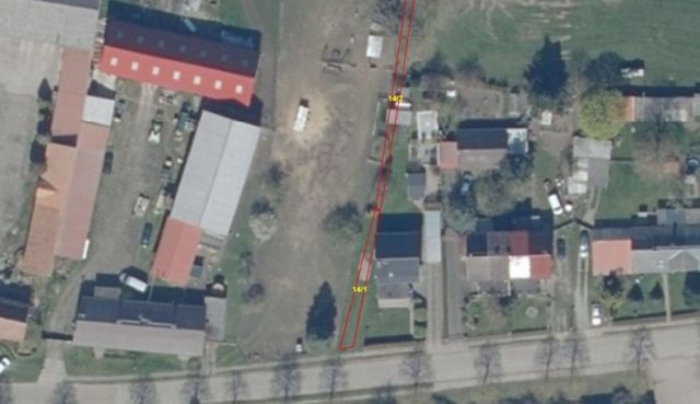
  • Lageskizze - Zwei schmale, teilweise vertragslos genutzte Grundstücksstreifen in der Pringnitz
    Lageskizze
  • Lageskizze Flurstück 14/1 und südlicher Bereich 14/2 - Zwei schmale, teilweise vertragslos genutzte Grundstücksstreifen in der Pringnitz
    Lageskizze Flurstück 14/1 und südlicher Bereich 14/2
  • Lageskizze Flurstück 14/2 - Zwei schmale, teilweise vertragslos genutzte Grundstücksstreifen in der Pringnitz
    Lageskizze Flurstück 14/2
  • Lageskizze Flurstück 192 - Zwei schmale, teilweise vertragslos genutzte Grundstücksstreifen in der Pringnitz
    Lageskizze Flurstück 192
  • Lageskizze - Zwei schmale, teilweise vertragslos genutzte Grundstücksstreifen in der Pringnitz
    Lageskizze
  • Umgebungsskizze - Zwei schmale, teilweise vertragslos genutzte Grundstücksstreifen in der Pringnitz
    Umgebungsskizze

Auktions-ID 435-0045

Die Auktion ist für dieses Objekt beendet.
Beendet
300 EUR *
SP 70 EUR
Höchstgebot

Um auf dieses Objekt bieten zu können, müssen Sie zuerst einen Bietantrag stellen.

Datenänderung

26.09.2024
Die Gemeinde Plattenburg teilt dem Auktionshaus im Schreiben vom 24.09.2024 unter anderem mit, dass seitens der Behörde laut Aktenlage keine Auflagen und/oder Mängel bestehen. Der Verkaufsgegenstand befindet sich im Bereich eines rechtskräftigen Flächennutzungsplanes. Erschließungskosten im Sinne des BauGB und/oder Ausbaubeiträge nach dem Kommunalabgabengesetz fallen im Jahr 2024/2025 nicht an.

Objekt-Daten

  • Händler-Standort
    Deutsche Internet Immobilien Auktionen
  • Titel Zwei schmale, teilweise vertragslos genutzte Grundstücksstreifen in der Pringnitz
  • Immobilienart Grundstück
  • Adresse
    Uenzer Dorfstraße und Klinke
    19339 Plattenburg OT Kleinow GT Uenze
  • Bundesland Brandenburg
  • Land Deutschland
  • Grundstücksgröße 1.260 m², lt. Grundbuchangaben.
  • Grundbuch
    Amtsgericht Perleberg von Uenze, Blatt 638, Flur 3 Flurstücke 14/1 und 14/2 sowie Flur 5 Flurstück 192
  • Belastungen im Grundbuch
    Abt. II lfd. Nr. 3 nur lastend auf Flurstück 14/2: Beschränkte persönliche Dienstbarkeit (Leitungsrecht, 110-kV-Freileitung Neuruppin-Perleberg) für die E.ON edis AG, Fürstenwalde/Spree.

    Abt. III: Keine Eintragungen.

    Eventuelle, nach den gesetzlichen Bestimmungen noch einzutragende Dienstbarkeiten und Sanierungsvermerke sind vom Ersteher ohne Anrechnung auf den Kaufpreis als nicht wertmindernd zu übernehmen.
  • Aussage Bauamt
    Liegt bisher nicht vor.
  • Makrolage
    Plattenburg ist eine amtsfreie Gemeinde im Landkreis Prignitz in Brandenburg.

    Die Gemeinde Plattenburg grenzt im Norden an die Stadt Perleberg und die Gemeinde Groß Pankow (Prignitz), im Osten an die Gemeinde Gumtow, im Südosten an die Städte Kyritz und Neustadt (Dosse), im Süden an das Land Sachsen-Anhalt und im Westen an das Amt Bad Wilsnack/Weisen.

    Durch das Gemeindegebiet verlaufen in West-Ost-Richtung die B5 zwischen Perleberg und Kyritz und in Nord-Süd-Richtung die B107 Pritzwalk-Havelberg.

    Der Ortsteil Kleinow liegt östlich der Kernstadt Perleberg. Zu Kleinow gehören die Gemeindeteile Burghagen, Ponitz und Uenze.

    Der Gemeindeteil liegt im äußersten Nordwesten der Gemeinde und grenzt im Norden und Westen an die Stadt Perleberg.
  • Mikrolage
    Die zusammenhängenden Flurstücke 14/1 und 14/2 zweigen links neben dem Wohngrundstück Uenzer Dorfstraße 54 von der Uenzer Dorfstraße Richtung Norden ab und verlaufen zwischen größeren Landwirtschafts-/Grünlandflächen.

    Das Flurstück 192 zweigt von der Straße Klinke nach Westen ab und verläuft teilweise parallel eines Wirtschafts-/Feldweges nördlich des Wohngrundstücks Klinke 15 und im Randbereich größerer Landwirtschafts-/Grünlandflächen.
  • Sanierungsgebiet
    Nein
  • Denkmalschutz
    Keine Angabe
  • Sonstiges
    Bitte beachten Sie, dass eine Aktualisierung / Veränderung der Objektbeschreibung (Detail-Informationen zum Kaufobjekt) bis zum Tag der Zuschlagserteilung möglich ist.

    Die Anlage 1 zum notariellen Grundstückskaufvertrag finden Sie unter dem Icon „Drucken“.

    Bei Kaufpreisen bis 6.000,00 EUR ist der Kaufpreis auf das Treuhandkonto des Auktionators Thomas Engel zu hinterlegen.

    Ungefähre Google Maps Koordinaten
    Flurstücke 14/1 und 14/2: 53.034762, 11.929348
    Flurstück 192: 53.035259, 11.919609
  • Internetadresse Gemeinde
    www.plattenburg.de
  • Behörde Gemeinde Plattenburg, Dorfstraße 52A, 19339 Plattenburg, Tel.: 038 796/ 599 0
  • Besichtigung für Kunden
    Bitte nehmen Sie für einen Besichtigungstermin Kontakt mit uns auf. Das Auktionshaus weist darauf hin, dass jedes Begehen und Befahren des Objektes auf eigene Gefahr erfolgt und nur mit Zustimmung des Eigentümers erlaubt ist. Die Mitteilung von Angaben durch das Auktionshaus beinhaltet weder eine Zustimmung zum Betreten und Befahren des Objektes noch eine Aussage, dass das Betreten und Befahren des Objektes sicher möglich sind. Die Verkehrssicherungspflicht für das Objekt liegt beim Eigentümer. Das Auktionshaus haftet nicht für etwaige Schäden, die entstehen, wenn Sie das Objekt betreten oder befahren.
  • Vertragsbestandteile
    Die genauen Grundstücksgrenzen sind nur durch eine Grenzfeststellung bestimmbar. Eine Kostenbeteiligung des Veräußerers ist ausgeschlossen.

    Der Veräußerer nimmt an einem Streitbeilegungsverfahren vor einer Verbraucherschlichtungsstelle nicht teil. Etwaige Streitigkeiten zwischen Veräußerer und Verbraucher gemäß § 13 BGB sollen unmittelbar geklärt werden.

    Der Verkauf erfolgt - so wie das Objekt steht und liegt - unter Vereinbarung des umfassenden Haftungsausschlusses gemäß Ziffer 7 der Versteigerungsbedingungen sowie ohne Räumungsverpflichtung des Veräußerers.
  • Zusammenfassung
    Zum Aufruf kommen zwei schmale, langgeschnittene Grundstücksstreifen mit einer Grundstücksgröße von insgesamt 1.260 m², bestehend aus den zwei hintereinander liegenden Flurstücken 14/1 mit 31 m² und 14/2 mit 839 m² sowie dem separaten Flurstück 192 mit 390 m², jeweils lt. Grundbuchangabe.

    Das Flurstück 14/1 ist im Grundbuch als Gebäude- und Freifläche verzeichnet und ist augenscheinlich in die Einfriedung und Nutzung als Garten-/Grünfläche des Wohngrundstücks Uenzer Dorfstraße 54 mit einbezogen.

    Das daran anschließende und im Grundbuch als Wasserfläche geführte Flurstück 14/2 ist im südlichen Bereich ebenfalls teilweise in die Nutzung der angrenzenden Fläche mit einbezogen und stellt sich im weiteren Verlauf lt. Kartenmaterial überwiegend als Bestandteil des Wassergrabens ´Graben II/89´ und teilweise als Bestandteil der angrenzenden partiell bestockten Landwirtschafts- und Grünlandflächen dar.

    Partielle Überbauungen der beiden Flurstücke von Nachbargrundstücken können nicht ausgeschlossen werden.

    Das im Grundbuch als Landwirtschaftsfläche verzeichnete Flurstück 192 zweigt von der Straße Klinke nach Westen ab und verläuft im Randbereich größerer Landwirtschafts-/Grünlandflächen. Es kann nicht ausgeschlossen werden, dass das Flurstück ganz oder teilweise in die Nutzung der angrenzenden Flächen mit einbezogen ist.

    Sämtliche Nutzungen erfolgen vertragslos. Dem Veräußerer ist keine vertragliche Vereinbarung über die Nutzungen bekannt. Es obliegt dem Ersteher hier eine Klärung bzw. vertragliche Regelungen über die Nutzung bzw. Überbauungen herbeizuführen.

    Beide Verkaufsflächen zweigen von öffentlichen Straßen ab und sind über diese auch erreichbar.

    Inwieweit eventuell vorhandene Einfriedungen der angrenzenden Flächen mit dem tatsächlichen Verlauf der Flurstücksgrenzen übereinstimmen, konnte nicht geklärt werden.

    Eine Besichtigung durch einen Mitarbeiter des Auktionshauses fand nicht statt.

    Diese Angaben dienen der beispielhaften Wiedergabe des Zustandes. Es besteht kein Anspruch auf Vollständigkeit der Aufzählung.
  • Kontakt
    kontakt@dga-ag.de
* zzgl. Auktions-Aufgeld auf den Zuschlagspreis
  • Tags:
1.434 Besucher