Bitte warten...
Ihre Internetverbindung ist derzeit gestört
Neu laden
Anmelden
Immobilien
Kaufen
Verkaufen
Registrierung
Info
Über uns
Kontakt
Hilfe
Anmelden
Schmaler Grundstücksstreifen **vermutlich vertragslos genutzt**
Zurück zur Übersicht
Lage des Verkaufsgegenstandes
Verkaufsgegenstand
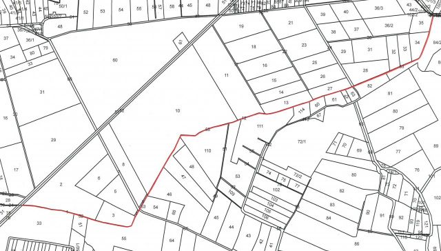
Lageskizze
Lageskizze
Auktions-ID
435-0041
Die Auktion ist für dieses Objekt beendet.
Beendet
nicht verkauft
850 EUR
*
SP 850 EUR
Startpreis
Mein Bietagent
Um auf dieses Objekt bieten zu können, müssen Sie zuerst einen Bietantrag stellen.
Das Objekt steht nur für inländische Händler zur Verfügung. Leider erfüllen Sie diese Bedingung nicht.
Datenänderung
Dokumente
Lageskizze
Lageskizze mit Luftbild
Objekt-Daten
Händler-Standort
Deutsche Internet Immobilien Auktionen
Titel
Schmaler Grundstücksstreifen **vermutlich vertragslos genutzt**
Immobilienart
Grundstück
Adresse
L 13
19348
Gülitz-Reetz
Auf Google Maps anzeigen
Bundesland
Brandenburg
Land
Deutschland
Grundstücksgröße
3.370 m², lt. Grundbuchangaben.
Baujahr
Grundbuch
Amtsgericht Perleberg Grundbuch von Gülitz Blatt 70 Flur 1 Flurstück 58 Flur 4 Flurstück 83 Flur 5 Flurstück 52 und 53
Belastungen im Grundbuch
Abt. II, lfd. Nr. 2, nur lastend auf Flurstück 53: Beschränkte persönliche Dienstbarkeit (Trinkwasser1eitungs- und Kabelrecht nebst Bau- und Einwirkungsbeschränkung) für den Westprignitzer Trinkwasser- und Abwasserzweckverband, Perleberg. Die Ausübung der Dienstbarkeit darf Dritten überlassen werden.
Abt. III: Keine Eintragungen.
Der Ersteher übernimmt die Eintragung in Abt. II, lfd. Nr. 2 des Grundbuches als nicht wertmindernd auf den Kaufpreis.
Eventuelle, nach den gesetzlichen Bestimmungen noch einzutragende Dienstbarkeiten und Sanierungsvermerke sind vom Ersteher ohne Anrechnung auf den Kaufpreis als nicht wertmindernd zu übernehmen.
Wohnfläche
Wohnfläche Bemerkung
Gewerbefläche
Gewerbefläche Bemerkung
Gesamtfläche
Gesamtfläche Bemerkung
Nutzungsart
Vertragslose Nutzung
Aussage Schornsteinfeger
Aussage Bauamt
Bisher keine Auskunft.
Bruttojahresmiete
Bruttojahresmiete Bemerkung
Betriebskostenanteil
Betriebskosten Bemerkung
Nettojahresmiete
Nettojahresmiete Bemerkung
Makrolage
Die Gemeinde Gülitz-Reetz im Landkreis Prignitz liegt ca. 15 km nördlich der Kreisstadt Perleberg. Östlich der Gemeinde fließt das Flüsschen Stepenitz.
Gülitz-Reetz liegt an der Landesstraße L 13 zwischen Karstädt und Putlitz. Die nächstgelegene Autobahnanschlussstelle ist Putlitz an der A 24 (etwa 15 Kilometer nordwestlich).
Mikrolage
Sanierungsgebiet
Nein
Denkmalschutz
Keine Angabe
Denkmalschutz Bemerkung
Keller
Fassade
Fenster
Dach / Dachrinnen / Schornstein
Heizung
Sanitär
Elektro
Treppen
Türen
Erschließung
Sonstiges
Bitte beachten Sie, dass eine Aktualisierung / Veränderung der Objektbeschreibung (Detail-Informationen zum Kaufobjekt) bis zum Tag der Zuschlagserteilung möglich ist.
Die Anlage 1 zum notariellen Grundstückskaufvertrag finden Sie unter dem Icon „Drucken“.
Bei Kaufpreisen bis 6.000,00 EUR ist der Kaufpreis auf das Treuhandkonto des Auktionators Thomas Engel zu hinterlegen.
Internetadresse Gemeinde
https://www.amtputlitz-berge.de/
Behörde
Amt Putlitz-Berge, Zur Burghofwiese 2, 16949 Putlitz, Tel.: 033981 8370
Besichtigungsverm. Außendienst
-
Besichtigung für Kunden
Bitte nehmen Sie für einen Besichtigungstermin Kontakt mit uns auf. Das Auktionshaus weist darauf hin, dass jedes Begehen und Befahren des Objektes auf eigene Gefahr erfolgt und nur mit Zustimmung des Eigentümers erlaubt ist. Die Mitteilung von Angaben durch das Auktionshaus beinhaltet weder eine Zustimmung zum Betreten und Befahren des Objektes noch eine Aussage, dass das Betreten und Befahren des Objektes sicher möglich sind. Die Verkehrssicherungspflicht für das Objekt liegt beim Eigentümer. Das Auktionshaus haftet nicht für etwaige Schäden, die entstehen, wenn Sie das Objekt betreten oder befahren.
Energieausweis
Vertragsbestandteile
Die genauen Grundstücksgrenzen sind nur durch eine Grenzfeststellung bestimmbar. Eine Kostenbeteiligung des Veräußerers ist ausgeschlossen.
Der Veräußerer nimmt an einem Streitbeilegungsverfahren vor einer Verbraucherschlichtungsstelle nicht teil. Etwaige Streitigkeiten zwischen Veräußerer und Verbraucher gemäß § 13 BGB sollen unmittelbar geklärt werden.
Der Verkauf erfolgt - so wie das Objekt steht und liegt - unter Vereinbarung des umfassenden Haftungsausschlusses gemäß Ziffer 7 der Versteigerungsbedingungen sowie ohne Räumungsverpflichtung des Veräußerers.
Zusammenfassung
Zum Aufruf kommen vier zusammenhängende Flurstücke von schmaler Gestalt mit einer Gesamtgröße von 3.370 m², lt. Grundbuchangaben.
Im Grundbuch sind die einzelnen Flurstücke wie folgt bezeichnet:
Flur 1 Flurstück 58: 1.651 m² Landwirtschaftsfläche
Flur 4 Flurstück 83: 715 m² Landwirtschaftsfläche, Wasserfläche
Flur 5 Flurstück 52: 906 m² Landwirtschaftsfläche, Waldfläche, Wasserfläche
Flur 5 Flurstück 53: 98 m² Landwirtschaftsfläche, Verkehrsfläche
Der Verkaufsgegenstand ist Teil größerer Acker- und Grünlandschläge und ist augenscheinlich in die Bewirtschaftung der umliegenden Flächen mit einbezogen. Der Veräußerin liegen keine Pachtverträge vor. Es kann aber jedoch nicht ausgeschlossen werden, dass durch die Gemeinde abgeschlossene Verträge auf den Flächen lasten. Die Klärung der Nutzungsverhältnisse obliegt dem Ersteher.
Die Veräußerin weist darauf hin, dass der Verkaufsgegenstand im Landschaftsschutzgebiet sowie im Vogelschutzgebiet liegt. Das nördliche Ende der Fläche liegt zudem im Fauna-Flora-Habitat-Gebiet und ragt in ein Naturschutzgebiet. Bau- und Bodendenkmale sind nicht bekannt. Keine Kampfmittelverdachtsfläche.
Eine Besichtigung durch einen Mitarbeiter des Auktionshauses fand nicht statt.
Diese Angaben dienen der beispielhaften Wiedergabe des Zustandes. Es besteht kein Anspruch auf Vollständigkeit der Aufzählung.
Kontakt
kontakt@dga-ag.de
* zzgl. Auktions-Aufgeld auf den Zuschlagspreis
Tags:
Grundstück
19348 Gülitz-Reetz
Brandenburg
791
Besucher
Kontakt
Deutsche Internet
Immobilien Auktionen GmbH
Kurfürstendamm 65, 10707 Berlin
030 - 88 46 88 80
kontakt@dga-ag.de
Newsletter
E-Mail-Adresse
Anmelden