Bitte warten...

2 Splitterflächen mit Baum- und Strauchbewuchs ca. 150 m von der Hessischen Landesgrenze entfernt

  • Blick auf ungefähre Lage Flurstück 1016/5 - 2 Splitterflächen mit Baum- und Strauchbewuchs ca. 150 m von der Hessischen Landesgrenze entfernt
    Blick auf ungefähre Lage Flurstück 1016/5
  • Blick auf ungefähre Lage Flurstück 1016/5 - 2 Splitterflächen mit Baum- und Strauchbewuchs ca. 150 m von der Hessischen Landesgrenze entfernt
    Blick auf ungefähre Lage Flurstück 1016/5
  • Blick auf ungefähre Lage Flurstück 1016/5 - 2 Splitterflächen mit Baum- und Strauchbewuchs ca. 150 m von der Hessischen Landesgrenze entfernt
    Blick auf ungefähre Lage Flurstück 1016/5
  • Blick auf ungefähre Lage Flurstück 1016/1 - 2 Splitterflächen mit Baum- und Strauchbewuchs ca. 150 m von der Hessischen Landesgrenze entfernt
    Blick auf ungefähre Lage Flurstück 1016/1
  • Blick auf ungefähre Lage Flurstück 1016/1 - 2 Splitterflächen mit Baum- und Strauchbewuchs ca. 150 m von der Hessischen Landesgrenze entfernt
    Blick auf ungefähre Lage Flurstück 1016/1
  • Blick auf ungefähre Lage Flurstück 1016/1 - 2 Splitterflächen mit Baum- und Strauchbewuchs ca. 150 m von der Hessischen Landesgrenze entfernt
    Blick auf ungefähre Lage Flurstück 1016/1
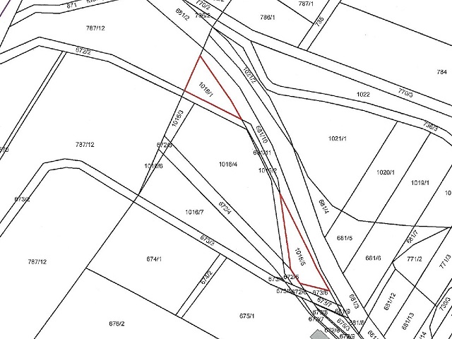
  • Lageskizze - 2 Splitterflächen mit Baum- und Strauchbewuchs ca. 150 m von der Hessischen Landesgrenze entfernt
    Lageskizze
  • Lageskizze - 2 Splitterflächen mit Baum- und Strauchbewuchs ca. 150 m von der Hessischen Landesgrenze entfernt
    Lageskizze

Auktions-ID 472-0012

Bitte geben Sie jetzt ein Gebot ab.
100 EUR *
SP 100 EUR
Startpreis

Um auf dieses Objekt bieten zu können, müssen Sie zuerst einen Bietantrag stellen.

Objekt-Daten

  • Händler-Standort
    Deutsche Internet Immobilien Auktionen
  • Titel 2 Splitterflächen mit Baum- und Strauchbewuchs ca. 150 m von der Hessischen Landesgrenze entfernt
  • Immobilienart Grundstück
  • Adresse
    L1022 (Verlängerung Richelsdorfer Straße)
    99834 Gerstungen OT Untersuhl
  • Bundesland Thüringen
  • Land Deutschland
  • Grundstücksgröße 1.335 m², lt. Grundbuchangaben.
  • Grundbuch
    Amtsgericht Eisenach von Untersuhl, Blatt 993, Flur 4 Flurstücke 1016/1 und 1016/5
  • Belastungen im Grundbuch
    Abt. II lfd. Nr. 1: Beschränkte persönliche Dienstbarkeit (Hochspannungsfreileitungsrecht) für Preussen Elektra AG in Hannover.

    Abt. II lfd. Nr. 2: Beschränkte persönliche Dienstbarkeit (Hochspannungsfreileitungsrecht) für die DB Energie GmbH, Sitz: Frankfurt am Main.

    Abt. III: Keine Eintragungen.

    Der Ersteher übernimmt die Eintragungen in Abt. II lfd. Nrn. 1 und 2 des Grundbuches als nicht wertmindernd auf den Kaufpreis.
  • Nutzungsart Vertragsfrei
  • Aussage Bauamt
    Die Gemeindeverwaltung Gerstungen teilt im Schreiben vom 07.04.2026 Folgendes mit: Für das Objekt sind seitens der Behörde lt. Aktenlage keine Auflagen und/oder Mängel bekannt. Das Objekt befindet sich im Außenbereich gemäß § 35 BauGB und im Geltungsbereich eines Flächennutzungsplanentwurfes. Das Objekt liegt nicht in einem Natur- bzw. Landschaftsschutzgebiet und es besteht kein Denkmalschutz. Hinweise für Altlasten und/oder Bodenkontaminationen sind dem Amt nicht bekannt.
  • Sanierungsgebiet
    Nein
  • Denkmalschutz
    Nein
  • Sonstiges
    Bitte beachten Sie, dass eine Aktualisierung / Veränderung der Objektbeschreibung (Detail-Informationen zum Kaufobjekt) bis zum Tag der Zuschlagserteilung möglich ist.

    Die Anlage 1 zum notariellen Grundstückskaufvertrag finden Sie unter dem Icon „Drucken“.

    Bei Kaufpreisen bis 10.000,00 EUR ist der Kaufpreis auf das Treuhandkonto des Auktionators Thomas Engel zu hinterlegen.

    Ungefähre Google Maps Koordinaten
    Flurstück 1016/1: 50.963407, 10.038668
    Flurstück 1016/5: 50.962238, 10.039760
  • Internetadresse Gemeinde
    www.gerstungen.de
  • Behörde Gemeindeverwaltung Gerstungen, Wilhelmstraße 53, 99834 Gerstungen, Tel.: 036 922/ 245 0
  • Besichtigung für Kunden
    Bitte nehmen Sie für einen Besichtigungstermin Kontakt mit uns auf. Das Auktionshaus weist darauf hin, dass jedes Begehen und Befahren des Objektes auf eigene Gefahr erfolgt und nur mit Zustimmung des Eigentümers erlaubt ist. Die Mitteilung von Angaben durch das Auktionshaus beinhaltet weder eine Zustimmung zum Betreten und Befahren des Objektes noch eine Aussage, dass das Betreten und Befahren des Objektes sicher möglich sind. Die Verkehrssicherungspflicht für das Objekt liegt beim Eigentümer. Das Auktionshaus haftet nicht für etwaige Schäden, die entstehen, wenn Sie das Objekt betreten oder befahren.
  • Vertragsbestandteile
    Die Grundstücksgrenzen sind nur durch eine Grenzfeststellung bestimmbar. Eine Kostenbeteiligung des Veräußerers ist ausgeschlossen.

    Der Verkauf erfolgt - so wie das Objekt steht und liegt - unter Vereinbarung des umfassenden Haftungsausschlusses gemäß Ziffer 7 der Versteigerungsbedingungen sowie ohne Räumungsverpflichtung des Veräußerers.
  • Zusammenfassung
    Zum Aufruf kommen 2 nicht zusammenhängende, aber in räumlicher Nähe liegende Flurstücke mit einer Grundstücksgröße von insgesamt 1.335 m², bestehend aus den Flurstücken 1016/1 mit 621 m² und 1016/5 mit 714 m², jeweils lt. Grundbuchangabe.

    Bei den 2 nahezu dreieckig geschnittenen Verkaufsflurstücken handelt es sich um ungenutzte teils wild mit Bäumen und Sträuchern bewachsene, unebene und hängige Grünflächen.

    Lt. Lageskizze verläuft an der südwestlichen Flurstücksgrenze des Flurstücks 1016/5 der Wasserlauf ´Weihe´.

    Die Flurstücke werden teilweise von 2 Hochspannungsleitungen tangiert, welche im Grundbuch dinglich gesichert sind.

    Die beiden Flurstücke sind jeweils durch ein Fremdflurstück von der L1022 getrennt und haben damit keine eigene Anbindung an öffentliches Straßenland, d.h. es handelt sich um gefangene Flurstücke, ohne gesicherte Zuwegung. Der Ersteher muss sich bezüglich der zukünftigen Zuwegung mit dem Eigentümer des bzw. der dafür zu nutzenden Grundstücke in Verbindung setzen.

    Eine Besichtigung durch einen Mitarbeiter des Auktionshauses fand nicht statt.

    Diese Angaben dienen der beispielhaften Wiedergabe des Zustandes. Es besteht kein Anspruch auf Vollständigkeit der Aufzählung.
  • Kontakt
    kontakt@dga-ag.de
* zzgl. Auktions-Aufgeld auf den Zuschlagspreis
  • Tags:
264 Besucher