Bitte warten...

Bis 30.09.2028 verpachtete Fläche hinter gewerblich genutzten Grundstücken

  • Blick von der B102 auf Verkaufsgegenstand und Umgebung - Bis 30.09.2028 verpachtete Fläche hinter gewerblich genutzten Grundstücken
    Blick von der B102 auf Verkaufsgegenstand und Umgebung
  • Blick von der B102 auf Verkaufsgegenstand und Umgebung - Bis 30.09.2028 verpachtete Fläche hinter gewerblich genutzten Grundstücken
    Blick von der B102 auf Verkaufsgegenstand und Umgebung
  • Blick von der B102 über angrenzendes Gewerbegebiet Richtung Verkaufsgegenstand - Bis 30.09.2028 verpachtete Fläche hinter gewerblich genutzten Grundstücken
    Blick von der B102 über angrenzendes Gewerbegebiet Richtung Verkaufsgegenstand
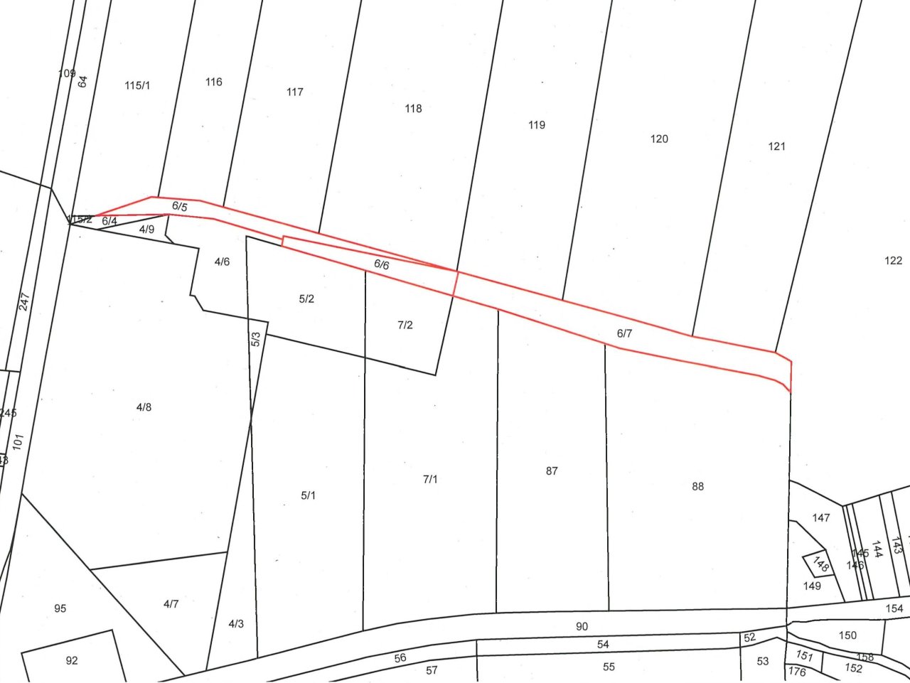
  • Lageskizze - Bis 30.09.2028 verpachtete Fläche hinter gewerblich genutzten Grundstücken
    Lageskizze
  • Lageskizze - Bis 30.09.2028 verpachtete Fläche hinter gewerblich genutzten Grundstücken
    Lageskizze

Auktions-ID 469-0012

Die Auktion ist für dieses Objekt beendet.
Beendet
5.000 EUR *
SP 500 EUR
Höchstgebot

Um auf dieses Objekt bieten zu können, müssen Sie zuerst einen Bietantrag stellen.

Objekt-Daten

  • Händler-Standort
    Deutsche Internet Immobilien Auktionen
  • Titel Bis 30.09.2028 verpachtete Fläche hinter gewerblich genutzten Grundstücken
  • Immobilienart Grundstück
  • Adresse
    Nahe Neustädter Straße (B102)
    14728 Rhinow
  • Bundesland Brandenburg
  • Land Deutschland
  • Grundstücksgröße 6.149 m², lt. Grundbuchangaben.
  • Grundbuch
    Amtsgericht Rathenow Grundbuch von Rhinow, Blatt 993, Flur 5 Flurstücke 6/5, 6/6 und 6/7
  • Belastungen im Grundbuch
    Abt. II lfd. Nr. 2 nur lastend auf Flurstück 6/5: Beschränkte persönliche Dienstbarkeit (Kabelrecht) für die E.ON edis AG, Fürstenwalde/Spree.

    Abt. II lfd. Nr. 3 nur lastend auf Flurstücken 6/6 und 6/7: Beschränkte persönliche Dienstbarkeit (Kabelrecht) für die E.ON edis AG, Fürstenwalde/Spree.

    Abt. III: Keine Eintragungen.

    Der Ersteher übernimmt die Eintragungen in Abt. II, lfd. Nrn. 2 und 3 des Grundbuches als nicht wertmindernd auf den Kaufpreis.

    Eventuelle, nach den gesetzlichen Bestimmungen noch einzutragende Dienstbarkeiten und Sanierungsvermerke sind vom Ersteher ohne Anrechnung auf den Kaufpreis als nicht wertmindernd zu übernehmen.
  • Nutzungsart Verpachtet
  • Aussage Bauamt
    Das Amt Rhinow teilt im Schreiben vom 19.02.2026 Folgendes mit: Für das Objekt bestehen seitens der Behörde lt. Aktenlage keine Auflagen und/oder Mängel. Das Objekt liegt im Außenbereich gemäß § 35 BauGB und im Geltungsbereich eines rechtskräftigen Flächennutzungsplanes mit den Ausweisungen Flurstück 6/5 als Gewerbe, Flurstück 6/7 als Sondergebiet Stall und Flurstück 6/6 teilweise als Gewerbe und teilweise als Fläche für Landwirtschaft. Das Objekt liegt nicht in einem Natur- bzw. Landschaftsschutzgebiet. Es sind keine Beschlüsse gefasst, wonach im Jahr 2026/ 2027 Erschließungskosten im Sinne des BauGB sowie Ausbaubeiträge nach dem Kommunalabgabengesetz anfallen.
  • Nettojahresmiete Ca. € 236
  • Nettojahresmiete Bemerkung , beträgt die Jahresnettopacht.
  • Sanierungsgebiet
    Nein
  • Denkmalschutz
    Keine Angabe
  • Sonstiges
    Bitte beachten Sie, dass eine Aktualisierung / Veränderung der Objektbeschreibung (Detail-Informationen zum Kaufobjekt) bis zum Tag der Zuschlagserteilung möglich ist.

    Die Anlage 1 zum notariellen Grundstückskaufvertrag finden Sie unter dem Icon „Drucken“.

    Bei Kaufpreisen bis 10.000,00 EUR ist der Kaufpreis auf das Treuhandkonto des Auktionators Thomas Engel zu hinterlegen.
  • Internetadresse Gemeinde
    www.rhinow.de
  • Behörde Amt Rhinow, Lilienthalstraße 3, 14728 Rhinow, Tel.: 033 875/ 366 0
  • Besichtigung für Kunden
    Bitte nehmen Sie für einen Besichtigungstermin Kontakt mit uns auf. Das Auktionshaus weist darauf hin, dass jedes Begehen und Befahren des Objektes auf eigene Gefahr erfolgt und nur mit Zustimmung des Eigentümers erlaubt ist. Die Mitteilung von Angaben durch das Auktionshaus beinhaltet weder eine Zustimmung zum Betreten und Befahren des Objektes noch eine Aussage, dass das Betreten und Befahren des Objektes sicher möglich sind. Die Verkehrssicherungspflicht für das Objekt liegt beim Eigentümer. Das Auktionshaus haftet nicht für etwaige Schäden, die entstehen, wenn Sie das Objekt betreten oder befahren.
  • Vertragsbestandteile
    Die genauen Grundstücksgrenzen sind nur durch eine Grenzfeststellung bestimmbar. Eine Kostenbeteiligung des Veräußerers ist ausgeschlossen.

    Der Veräußerer nimmt an einem Streitbeilegungsverfahren vor einer Verbraucherschlichtungsstelle nicht teil. Etwaige Streitigkeiten zwischen Veräußerer und Verbraucher gemäß § 13 BGB sollen unmittelbar geklärt werden.

    Der Verkauf erfolgt - so wie das Objekt steht und liegt - unter Vereinbarung des umfassenden Haftungsausschlusses gemäß Ziffer 7 der Versteigerungsbedingungen sowie ohne Räumungsverpflichtung des Veräußerers.
  • Zusammenfassung
    Zum Aufruf kommen 3 zusammenhängende Flurstücke in der Gemarkung Rhinow mit einer Grundstücksgröße von insgesamt 6.149 m².

    Im Einzelnen haben die Flurstücke jeweils lt. Grundbuchangaben folgende Größe und Wirtschaftsart:
    Flurstück 6/5 mit 1.421 m² - Ackerland
    Flurstück 6/6 mit 1.161 m² - Gebäude- und Gebäudenebenflächen
    Flurstück 6/7 mit 3.567 m² - Straßenverkehrsflächen

    Die unregelmäßig geschnittene, langgestreckte Verkaufsfläche liegt an der Gemarkungsgrenze zu Stölln wenige Meter östlich der Neustädter Straße (B102) und grenzt im Süden an ein Gewerbegebiet und ein landwirtschaftliches Betriebsgelände und im Norden an eine Landwirtschaftsfläche, dessen Schläge (Acker- und Grünland) sich teilweise auch auf die Verkaufsflurstücke erstrecken.

    Bei dem Verkaufsgegenstand handelt es sich in der Örtlichkeit teilweise um einen Gehölzriegel als Grenze zu den südlich folgenden Gewerbe-/ Wirtschaftsflächen, teilweise um genutzte Acker- oder Grünlandflächen (Lage in Feldblöcken) und ferner um den nördlichen Randbereich des Gewerbegebietes an der Neustädter Straße (geschätzt ca. 280 m²). Dieser nördliche Randbereich ist möglicherweise in die Nutzung als Lagerfläche in die angrenzende Nachbarfläche mit einbezogen.

    Lt. Kartenmaterial verläuft im Osten geringfügig eine Zufahrt zu einem landwirtschaftlichen Betriebsgelände über die Verkaufsfläche.

    Die Flurstücke sind über einen Landpachtvertrag, in dem weitere Flurstücke enthalten sind, die nicht zum Verkaufsgegenstand gehören, bis 30.09.2028 verpachtet. Die Jahresnettopacht für die Verkaufsflurstücke beträgt ca. 236 €.

    Der Verkaufsgegenstand hat keine eigene Anbindung an öffentliches Straßenland, d.h. eine Zuwegung ist nur über Flurstücke im Fremdeigentum möglich. Der Ersteher muss sich bezüglich der zukünftigen Zuwegung mit dem Eigentümer des bzw. der dafür zu nutzenden Grundstücke in Verbindung setzen.

    Lt. Angabe des Veräußerers liegen alle Flurstücke vollumfänglich im Naturpark „Westhavelland“. Ansonsten sind dem Veräußerer keine Schutzgebietsbetroffenheit, keine Altlasten, keine Bau- oder Bodendenkmale und auch keine Ausweisung als Kampfmittelverdachtsfläche bekannt.

    Im Grundbuch sind für alle Flurstücke dinglich ein Kabelrecht auf Grundlage von zwei Gestattungsverträgen gesichert. Des Weiteren besteht noch ein Gestattungsvertrag über ein Leitungsrecht - Kabel ohne dingliche Sicherung.

    Eine Besichtigung des Verkaufsgegenstandes durch einen Mitarbeiter des Auktionshauses fand nicht statt.

    Diese Angaben dienen der beispielhaften Wiedergabe des Zustandes. Es besteht kein Anspruch auf Vollständigkeit der Aufzählung.
  • Kontakt
    kontakt@dga-ag.de
* zzgl. Auktions-Aufgeld auf den Zuschlagspreis
  • Tags:
1.431 Besucher