Bitte warten...

5 Grünlandflächen teilweise mit Gehölzbewuchs und 1 Gehölzfläche in Streulage um Oberroßbach

  • Blick Richtung Flurstück 13 und auf die Umgebung - 5 Grünlandflächen teilweise mit Gehölzbewuchs und 1 Gehölzfläche in Streulage um Oberroßbach
    Blick Richtung Flurstück 13 und auf die Umgebung
  • Blick auf Flurstück 13 und Umgebung - 5 Grünlandflächen teilweise mit Gehölzbewuchs und 1 Gehölzfläche in Streulage um Oberroßbach
    Blick auf Flurstück 13 und Umgebung
  • Blick auf Umgebung von Flurstück 13 - 5 Grünlandflächen teilweise mit Gehölzbewuchs und 1 Gehölzfläche in Streulage um Oberroßbach
    Blick auf Umgebung von Flurstück 13
  • Blick auf Flurstück 753 und Umgebung - 5 Grünlandflächen teilweise mit Gehölzbewuchs und 1 Gehölzfläche in Streulage um Oberroßbach
    Blick auf Flurstück 753 und Umgebung
  • Blick auf Umgebung von Flurstück 753 - 5 Grünlandflächen teilweise mit Gehölzbewuchs und 1 Gehölzfläche in Streulage um Oberroßbach
    Blick auf Umgebung von Flurstück 753
  • Umgebungsskizze alle Flurstücke - 5 Grünlandflächen teilweise mit Gehölzbewuchs und 1 Gehölzfläche in Streulage um Oberroßbach
    Umgebungsskizze alle Flurstücke
  • Lageskizze Flurstück 13 - 5 Grünlandflächen teilweise mit Gehölzbewuchs und 1 Gehölzfläche in Streulage um Oberroßbach
    Lageskizze Flurstück 13
  • Lageskizze Flurstück 13 - 5 Grünlandflächen teilweise mit Gehölzbewuchs und 1 Gehölzfläche in Streulage um Oberroßbach
    Lageskizze Flurstück 13
  • Lageskizze Flurstück 45 - 5 Grünlandflächen teilweise mit Gehölzbewuchs und 1 Gehölzfläche in Streulage um Oberroßbach
    Lageskizze Flurstück 45
  • Lageskizze Flurstück 45 - 5 Grünlandflächen teilweise mit Gehölzbewuchs und 1 Gehölzfläche in Streulage um Oberroßbach
    Lageskizze Flurstück 45
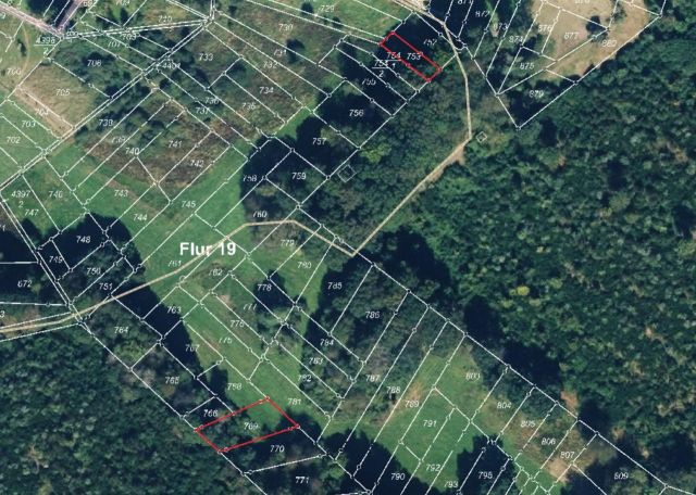
  • Lageskizze Flurstücke 753 und 769 - 5 Grünlandflächen teilweise mit Gehölzbewuchs und 1 Gehölzfläche in Streulage um Oberroßbach
    Lageskizze Flurstücke 753 und 769
  • Lageskizze Flurstücke 753 und 769 - 5 Grünlandflächen teilweise mit Gehölzbewuchs und 1 Gehölzfläche in Streulage um Oberroßbach
    Lageskizze Flurstücke 753 und 769
  • Lageskizze Flurstück 2618 - 5 Grünlandflächen teilweise mit Gehölzbewuchs und 1 Gehölzfläche in Streulage um Oberroßbach
    Lageskizze Flurstück 2618
  • Lageskizze Flurstück 2618 - 5 Grünlandflächen teilweise mit Gehölzbewuchs und 1 Gehölzfläche in Streulage um Oberroßbach
    Lageskizze Flurstück 2618
  • Lageskizze Flurstück 2207 - 5 Grünlandflächen teilweise mit Gehölzbewuchs und 1 Gehölzfläche in Streulage um Oberroßbach
    Lageskizze Flurstück 2207
  • Lageskizze Flurstück 2207 - 5 Grünlandflächen teilweise mit Gehölzbewuchs und 1 Gehölzfläche in Streulage um Oberroßbach
    Lageskizze Flurstück 2207
  • Umgebungsskizze Flurstück 2207 - 5 Grünlandflächen teilweise mit Gehölzbewuchs und 1 Gehölzfläche in Streulage um Oberroßbach
    Umgebungsskizze Flurstück 2207

Auktions-ID 462-0004

Die Auktion ist für dieses Objekt beendet.
Beendet
2.000 EUR *
SP 1.200 EUR
Höchstgebot

Um auf dieses Objekt bieten zu können, müssen Sie zuerst einen Bietantrag stellen.

Objekt-Daten

  • Händler-Standort
    Deutsche Internet Immobilien Auktionen
  • Titel 5 Grünlandflächen teilweise mit Gehölzbewuchs und 1 Gehölzfläche in Streulage um Oberroßbach
  • Immobilienart Grundstück
  • Adresse
    35708 Haiger ST Oberroßbach
  • Bundesland Hessen
  • Land Deutschland
  • Grundstücksgröße 2.787 m², lt. Grundbuchangabe.
  • Grundbuch
    Amtsgericht Dillenburg Grundbuch von Oberroßbach, Blatt 709, Flur 8 Flurstück 2207, Flur 13 Flurstück 2618, Flur 19 Flurstücke 753 und 769, Flur 33 Flurstück 13 und Flur 34 Flurstück 45
  • Belastungen im Grundbuch
    Abt. II: Keine Eintragungen.

    Abt. III: Keine Eintragungen.
  • Aussage Bauamt
    Der Magistrat der Stadt Haiger teilte per E-Mail vom 17.07.2024 mit, dass alle Flurstücke außer 2207 im Flächennutzungsplan als Landwirtschaftsfläche ausgewiesen sind. Flurstück 2207 ist im Flächennutzungsplan als Flächen für Wald ausgewiesen. Die Flurstücke 753, 769, 45 und 13 sind des Weiteren als Suchraum Ausgleichsfläche im Flächennutzungsplan ausgewiesen. Die Flurstücke 45, 2618, 2207 und 13 liegen in einem Vogelschutzgebiet.
  • Sanierungsgebiet
    Nein
  • Denkmalschutz
    Keine Angabe
  • Sonstiges
    Bitte beachten Sie, dass eine Aktualisierung / Veränderung der Objektbeschreibung (Detail-Informationen zum Kaufobjekt) bis zum Tag der Zuschlagserteilung möglich ist.

    Die Anlage 1 zum notariellen Grundstückskaufvertrag finden Sie unter dem Icon „Drucken“.

    Bei Kaufpreisen bis 6.000,00 EUR ist der Kaufpreis auf das Treuhandkonto des Auktionators Thomas Engel zu hinterlegen.

    Ungefähre Google Maps Koordinaten
    Flur 8 Flurstück 2207: 50.802875, 8.219062
    Flur 13 Flurstück 2618: 50.801914, 8.233281
    Flur 19 Flurstück 753: 50.791778, 8.245594
    Flur 19 Flurstück 769: 50.790401, 8.245177
    Flur 33 Flurstück 13: 50.801977, 8.239942
    Flur 34 Flurstück 45: 50.802321, 8.230611
  • Internetadresse Gemeinde
    www.haiger.de
  • Behörde Stadt Haiger, Marktplatz 7, 35708 Haiger, Tel.: 02773/ 811 0
  • Besichtigung für Kunden
    Bitte nehmen Sie für einen Besichtigungstermin Kontakt mit uns auf. Das Auktionshaus weist darauf hin, dass jedes Begehen und Befahren des Objektes auf eigene Gefahr erfolgt und nur mit Zustimmung des Eigentümers erlaubt ist. Die Mitteilung von Angaben durch das Auktionshaus beinhaltet weder eine Zustimmung zum Betreten und Befahren des Objektes noch eine Aussage, dass das Betreten und Befahren des Objektes sicher möglich sind. Die Verkehrssicherungspflicht für das Objekt liegt beim Eigentümer. Das Auktionshaus haftet nicht für etwaige Schäden, die entstehen, wenn Sie das Objekt betreten oder befahren.
  • Vertragsbestandteile
    Die genauen Grundstücksgrenzen sind nur durch eine Grenzfeststellung bestimmbar. Eine Kostenbeteiligung des Veräußerers ist ausgeschlossen.

    Die Veräußerung erfolgt ausweislich des Grundbuches frei von Lasten in Abt. II und III. Hiervon unberührt bleibt die Übernahme weiterer, etwa vorhandener, aus dem Grundbuch nicht ersichtlicher Lasten und Beschränkungen, insbesondere öffentlich-rechtlicher Lasten einschließlich etwaiger Baulasten sowie nicht im Grundbuch einzutragender Rechte an dem Grundstück ohne Anrechnung auf den Kaufpreis.

    Soweit Lasten in Abteilung II des Grundbuches eingetragen sind bzw. werden, insbesondere Geh-, Fahr- und Leitungsrechte, sonstige Dienstbarkeiten sowie etwaige Sanierungsvermerke, sind diese von dem Ersteher ohne Anrechnung auf das Höchstgebot als nicht wertmindernd zu übernehmen. Dies gilt auch für Baulasten.

    Die Grundstücke sind Bestandteil eines Flurbereinigungsverfahrens. Der Ersteher tritt mit dem Erwerb der Grundstücke als neuer Teilnehmer in das Flurbereinigungsverfahren ein und muss das bis zu seiner Eintragung im Grundbuch oder bis zur Anmeldung seines Erwerbs durchgeführte Verfahren gegen sich gelten lassen. Alle im Zusammenhang mit dem Verfahren stehenden künftigen Beiträge, Lasten, Vorteile sowie alle Rechte und Pflichten hat der Ersteher für und gegen sich gelten zu lassen. In dem Verfahren können sich Gestalt, Lage und Größe der Grundstücke ändern. Eine Eigentumsumschreibung sowie eine Belastung des Versteigerungsobjektes ist möglicherweise erst nach Abschluss des Verfahrens möglich. Wegen des Verfahrens kann die grundbuchliche Abwicklung längere Zeit in Anspruch nehmen.

    Der Verkauf erfolgt - so wie das Grundstück steht und liegt - unter Vereinbarung des umfassenden Haftungsausschlusses gemäß Ziffer 7 der Versteigerungsbedingungen sowie ohne Räumungsverpflichtung des Veräußerers.
  • Zusammenfassung
    Zum Aufruf kommen 6 getrennt liegende Flurstücke mit einer Grundstücksgröße von insgesamt 2.787 m², bestehend aus den Flurstücken 2207 der Flur 8 mit 441 m², 2618 der Flur 13 mit 581 m², 753 der Flur 19 mit 153 m², 769 der Flur 19 mit 425 m², 13 der Flur 33 mit 448 m² und 45 der Flur 34 mit 739 m², jeweils lt. Grundbuchangabe.

    Die Flurstücke 2618, 45, 13 und 753 stellen Grünland dar, die Flurstücke 13 und 753 weisen lt. Kartenmaterial zudem partiell Gehölz-/Strauchbewuchs auf. Bei dem Flurstück 769 handelt es sich teilweise um eine Grünland- und teilweise um eine Gehölzfläche und bei dem Flurstück 2207 lt. Auszug aus dem Liegenschaftskataster um eine Nadelgehölzfläche.

    Lt. Kartenmaterial wird das Flurstück 13 durch 2 Grabenflurstücke in 3 Teilflächen getrennt. An der nordwestlichen Flurstücksgrenze verläuft ebenfalls ein Graben und an der südöstlichen Flurstücksgrenze verläuft der „Kurtenbach“. Lt. Kartenmaterial wird auch das Flurstück 45 durch ein Grabenflurstück in 2 Teilflächen getrennt und an der südlichen Flurstücksgrenze verläuft der ´Langenbach´. Ob die Wasser-/Entwässerungsgräben in der Örtlichkeit erkennbar sind, konnte nicht geprüft werden.

    Es kann nicht ausgeschlossen werden, dass die Verkaufsflächen ganz oder teilweise genutzt werden. Ob die Nutzung vertragslos oder über einen Pachtvertrag erfolgt, ist nicht bekannt. Dem Veräußerer liegt keine vertragliche Vereinbarung vor. Ein mündlicher oder schriftlicher Pachtvertrag kann aber auch nicht ausgeschlossen werden. Eine Klärung obliegt dem Erwerber.

    Die Flurstücke liegen in Streulage um Oberroßbach und haben alle keine eigene Anbindung an öffentliches Straßenland. Lt. Kartenmaterial sind die Flurstücke 2618 und 2207 aber über Wegeflurstücke erreichbar. Ob diese Wegeflurstücke in der Örtlichkeit als Feld-/ Wirtschaftswege vorhanden bzw. erkennbar sind, konnte nicht geprüft werden. Bei den anderen Flurstücken handelt es sich um gefangene Flurstücke bzw. gefangene Teilflächen von Flurstücken, welche nur über Fremdflurstücke erreichbar sind. Der Ersteher muss sich bezüglich der zukünftigen Zuwegung mit dem Eigentümer des bzw. der dafür zu nutzenden Grundstücke in Verbindung setzen.

    Alle Flächen liegen im Flurbereinigungsverfahren „Haiger-Oberroßbach“, Verfahrensbezeichnung: 890 (Amt für Bodenmanagement Marburg, Flurbereinigung (Par. 1 und 37 FlurbG).

    Der Verkaufsgegenstand wurde nicht durch einen Mitarbeiter des Auktionshauses besichtigt.

    Diese Angaben dienen der beispielhaften Wiedergabe des Zustandes. Es besteht kein Anspruch auf Vollständigkeit der Aufzählung.
  • Kontakt
    kontakt@dga-ag.de
* zzgl. Auktions-Aufgeld auf den Zuschlagspreis
  • Tags:
951 Besucher